Starostwo Powiatowe w Mielcu

Starostwo Powiatowe w Mielcu
01.10.2025 Kategoria: Informacje
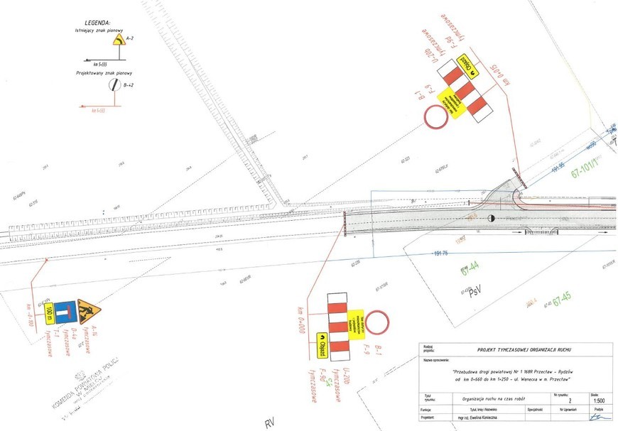
Powiatowy Zarząd Dróg w Mielcu informuje, że od dnia 02.10.2025 r. (czwartek) w godz. 7.00 do 18.00 odcinek drogi powiatowej Nr 1 168R - ul. Wenecka w m. Przecław zostanie zamknięty dla ruchu.
Zamknięcie drogi ma związek z realizowaną w tym miejscu inwestycją pod nazwą "Przebudowa drogi powiatowej nr 1168R Przecław - Rydzów od km 0+660 do km 1+250 - ul . Wenecka Przecław”.
Prace Wykonuje firma Eurovia Polska S.A. adres: ul. Irysowa 1, Bielany Wrocławskie 55-040 Kobierzyce.
Za utrudnienia przepraszamy. Prosimy o ostrożną jazdę.
Informacja: Powiatowy Zarząd Dróg w Mielcu
Monika Skrzypek
DOKUMENTY
38 399-----------------------
zarejestrowanych przychodzących dokumentów w 2024 roku
LICZBA LUDNOŚCI
132 983-----------------------
mieszkańców powiatu mieleckiego
PIENIĄDZE
289 735 202-----------------------
planowanych dochodów budżetu w 2025 roku